Pour obtenir des renseignements sur les droits de reproduction, veuillez communiquer avec Ressources naturelles Canada à copyright-droitdauteur@nrcan-rncan.gc.ca.
Cat. No. M120-2F-PDF (Online) / ISSN 2564-1182
© Sa Majesté le Roi du chef du Canada, représentée par le ministre des Ressources naturelles, 2024
Table des matières
Message de l’arpenteur général
Direction de l’arpenteur général : qui sommes-nous
Nos programmes
Évaluation du programme
Projets spéciaux
Priorités stratégiques et faits marquants 2022-2023
Relever les défis actuels et futurs
Annexe 1 : Communiquez avec nous
Annexe 2 : Indicateurs du programme
Annexe 3 : Projets du tableau de bord de la DAG
Annexe 4 : Résumé de la formation de renforcement des capacités en matière d’arpentage
Annexe 5 : Publications
Annexe 6 : Ateliers sur la gouvernance de l’espace marin au Canada
Annexe 7 : Données sur les ressources humaines

Message de l’arpenteur général
J’ai le plaisir de vous présenter le rapport annuel de la Direction de l’arpenteur général (DAG) pour l’exercice 2022-2023, le treizième d’une série qui détaille nos réalisations, projets et publications. Ce rapport sera le dernier du plan d’activités intégré (PAI) 2020-2023 de la DAG. Nous nous affairons à rédiger un nouveau PAI pour la Direction, qui définira nos nouvelles priorités stratégiques pour les trois prochaines années.
Le rapport annuel de cette année présente l’excellent travail de notre direction en 2022-2023, en soulignant les réalisations accomplies dans le cadre de nos trois priorités stratégiques actuelles, à savoir:
- les peuples autochtones en contrôle de leurs terres et gestion des terres du Nord
- la géoréférence pour permettre au Canada de garantir le bien-être futur de notre économie
- la protection des océans du Canada.
Le rapport examine également les modalités de réponse de la DAG face aux défis actuels et futurs, y compris le retour progressif sur le lieu de travail.
La DAG a continué de gagner en importance au sein du Secteur des terres et des minéraux (STM) de Ressources naturelles Canada (RNCan). Elle a contribué à plusieurs projets de collaboration à l’échelle du secteur avec d’autres directions de RNCan, ainsi qu’avec d’autres ministères fédéraux. Malgré la pandémie de COVID-19 en cours, la DAG a continué à veiller à ce que les Canadiens aient accès à des systèmes d’arpentage sûrs et fiables, à des limites clairement définies et à des données de positionnement précises pour répondre aux besoins économiques, sociaux et environnementaux du Canada.
Comme toujours, je vous invite à examiner et à commenter le rapport, et je me réjouis de votre mobilisation continue.
Jean Gagnon
Arpenteur général des terres du Canada
Commissaire canadien, Commission de la frontière internationale
Directeur général, Direction de l’arpenteur général
Direction de l’arpenteur général : qui sommes-nous
Notre mission a toujours été de veiller à ce que les Canadiens aient accès à des systèmes d’arpentage sûrs et fiables, à des limites clairement définies et à des données de positionnement précises afin de répondre aux besoins économiques, sociaux et environnementaux du Canada. La DAG contribue également à la science et à l’infrastructure dont le Canada a besoin pour réussir dans l’économie mondiale.
En 2022 à 2023, nous avions :
- un budget de 24 511 924 $;
- cent soixante (160) employés, dont des ingénieurs arpenteurs, des ingénieurs en géodésie, des techniciens en arpentage et du personnel de soutien;
- dix (10) bureaux régionaux (BR) dans l’ensemble du Canada et un (1) bureau dans la région de la capitale nationale (référez voir l’Annexe 1 – Contactez-nous);
- une main-d’œuvre dynamique composée d’employés à temps plein et à temps partiel, d’étudiants et de personnel saisonnier.
Nos programmes
Nos trois programmes s’harmonisent avec les divers engagements et priorités du gouvernement. Notre travail continue de contribuer aux responsabilités fondamentales de RNCan en matière de sciences des ressources naturelles et d’atténuation des risques en fournissant des renseignements importants sur les terres du Canada et en soutenant des outils et des pratiques indispensables de gestion des terres.
- Le Système d’arpentage des terres du Canada (SATC) aide à définir, à délimiter et à décrire les limites des propriétés et l’étendue des droits de propriété pour les terres du Canada – le Nord, les terres de réserve des Premières Nations, les parcs nationaux et les zones extracôtières. Grâce à l’exactitude des limites et à un système de droits de propriété bien entretenu, les intervenants peuvent se concentrer sur le bien-être de la communauté et la croissance économique. Un système d’arpentage solide est particulièrement important pour soutenir l’autonomie des Autochtones.
- Les Levés géodésiques du Canada (LGC) fournissent l’infrastructure de positionnement de base, un cadre de référence fondamental qui facilite la mesure précise de la latitude, de la longitude, de l’altitude et de la gravité au Canada. Ils surveillent également le mouvement de notre masse continentale à l’appui de la géomatique et des géosciences. Ces mesures sont essentielles non seulement pour délimiter les frontières, mais aussi pour toute activité pour laquelle la géolocalisation est importante, permettant ainsi la cartographie, l’arpentage, la gestion de l’eau et la surveillance des risques naturels et des activités d’ingénierie au Canada.
- La section canadienne de la Commission de la frontière internationale (CFI), en collaboration avec son homologue américaine, préserve et maintient une frontière claire et visible entre le Canada et les États-Unis. Ces travaux comprennent l’entretien des bornes de la frontière et des éclaircies à travers les zones forestières, ainsi que la réglementation des constructions et des travaux à moins de 3 mètres des 8 891 kilomètres de frontière. Il est essentiel d’avoir une frontière clairement visible entre le Canada et les États-Unis pour assurer la sécurité des citoyens qui mènent des activités près de la frontière et permettre aux organismes d’application de la loi de protéger la sécurité des Canadiens et de préserver notre souveraineté.
Évaluation du programme
Afin de nous assurer que nous respectons nos engagements de manière efficace et que nous fournissons des produits et des services de haute qualité à nos clients, la DAG éValeur le rendement de ses programmes et en rend compte régulièrement (référez l’Annexe 2 – Indicateurs du programme). La DAG suit également les progrès et les résultats des projets clés qui soutiennent nos priorités stratégiques, ainsi que des projets qui contribuent à améliorer nos opérations quotidiennes. Nous assurons ce suivi au moyen d’un tableau de bord évolutif qui est mis à jour tous les deux mois et transmis à la direction de la DAG (référez l’Annexe 3 – Projets de tableaux de bord de la DAG). En 2022 à 2023, nous avons mené à bien quatre autres projets de tableaux de bord, portant le total des projets achevés à 12 sur les 26 projets énumérés dans le cadre du PAI 2020-2023.
En plus des rapports internes, la Direction est périodiquement soumise à des vérifications au niveau ministériel (sauf en 2020 en raison de la pandémie de COVID-19). La vérification la plus récente du Programme d’arpentage des terres du Canada (ATC) remonte à 2019. Étant donné que nous nous sommes engagés à traiter la totalité des recommandations du vérificateur, nous continuons à travailler sur les autres recommandations de cette vérification, en assurant le suivi des engagements envers les clients, en rendant compte du rendement et des projets et en assurant le suivi des enquêtes de satisfaction de la clientèle.
La DAG a par ailleurs élaboré une stratégie de communication pour répondre aux demandes des intervenants qui souhaitaient davantage de contacts personnels. Le plan d’action énumère les activités à mettre en œuvre pour améliorer la planification de notre mobilisation auprès de nos communautés autochtones. La DAG suivra également de manière formelle les efforts de communication en personne afin de mieux les documenter et de déceler les lacunes dans les régions ou au sein des groupes d’utilisateurs.
En 2020, la DAG a mené l’Enquête sur la satisfaction de la clientèle (ESC) 2020 auprès de groupes d’intervenants, notamment les arpenteurs des terres du Canada, les autres organismes gouvernementaux d’approbation des terres ainsi que les utilisateurs finaux et organisations autochtones. L’ESC a permis de mesurer la satisfaction des clients qui ont utilisé le SATC. Les résultats de cette enquête serviront à améliorer les relations avec les principaux intervenants en permettant de mieux comprendre comment et pourquoi les différents groupes de clients utilisent ces services, outils et données. Les niveaux de satisfaction générale à l’égard des services et des outils numériques de la DAG étaient élevés pour tous les publics; toutefois, les répondants ont souligné certains points à améliorer.
En réponse à l’enquête, la DAG s’est efforcée d’apporter, au cours du dernier exercice, les améliorations demandées. Afin de faciliter ce processus, on a créé un groupe de travail au sein de la DAG composé de directeurs et de directeurs adjoints. Vous trouverez ci-dessous la liste des améliorations qui seront mises en œuvre :
- Un guide révisé pour l’installation et la récupération de MaClé.
- Une formation destinée à l’Association des arpenteurs des terres du Canada (AATC).
- Des vidéos destinées aux utilisateurs de la validation en ligne de fichiers numériques des terres du Canada (VEFNTC) et des approbations électroniques.
- L’amélioration et la simplification de la recherche de documents.
- Le renouvellement du navigateur de carte Web pour lui donner un aspect moderne et le rendre plus convivial.
- L’ajout d’une nouvelle version du manuel des normes pour intégrer d’autres spécimens de plan.
Projets spéciaux
Loi sur les arpenteurs des terres du Canada
En 2016, l’AATC a présenté au ministre des Ressources naturelles une demande de modification de la Loi sur les arpenteurs des terres du Canada afin de rendre le processus de plaintes et de mesures disciplinaires plus transparent et plus solide et de mieux l’harmoniser avec l’Accord de libre-échange canadien concernant la mobilité de la main-d’œuvre.
En 2021 à 2022, la DAG a entrepris la modernisation de la Loi sur les arpenteurs des terres du Canada (la Loi). La Loi modernisée reflétera l’évolution des responsabilités d’une profession autonome. La mise à jour répondra également aux demandes de l’AATC formulées en 2016 visant à rendre le processus de plaintes et de mesures disciplinaires plus transparent et plus robuste et à réduire le fardeau réglementaire du gouvernement et de l’industrie.
Le projet de modernisation de la Loi a été déposé au Sénat le 31 mars 2022. Ce projet de loi comprend des modifications proposées à la Loi. Il est actuellement en deuxième lecture à la Chambre des communes. La DAG suit activement l’évolution de la Loi, qui devrait recevoir la sanction royale à l’automne prochain. En collaboration avec l’AATC, la DAG a rédigé des instructions pour faciliter la modification du Règlement sur les arpenteurs des terres du Canada dès que la Loi sera adoptée. En outre, l’AATC s’est attelée à l’adaptation de ses statuts afin de les harmoniser avec les modifications prévues de la Loi et du Règlement. Cet effort coordonné garantira que la DAG pourra s’appuyer sur des statuts adaptés pour une mise en œuvre conforme aux dispositions de la Loi. Après l’obtention de la sanction royale et la modification du Règlement, la DAG demandera une approbation par décret afin que la Loi entre en vigueur.
Élections Canada
Conformément à la Loi sur la révision des limites des circonscriptions électorales (L.R.C (1985), ch. E-3), RNCan a l’obligation de fournir ses services au directeur général des élections ainsi qu’à la commission de délimitation des circonscriptions électorales. La DAG est composée d’arpenteurs experts de RNCan qui sont spécialisés dans la préparation de descriptions foncières.
Voici les principales responsabilités qui incombent à la DAG :
- Élaborer des « lignes directrices complètes pour la rédaction des descriptions des circonscriptions électorales fédérales ».
- Organiser et diriger des ateliers et des séances de formation pour les experts techniques d’Élections Canada qui seront affectés aux commissions.
- Offrir une orientation et des conseils sur les descriptions des limites tout au long du processus.
- Examiner minutieusement chaque description (en anglais et en français) pour s’assurer de son exactitude technique, de sa clarté, de sa cohérence et de son exhaustivité.
Le projet a débuté en août 2021 et s’est achevé en juillet 2023. Dans le cadre de ce projet, les arpenteurs de la DAG, répartis entre 5 régions (environ 12 arpenteurs), ont entrepris la vérification de plus de 1 400 descriptions foncières dans les deux langues officielles (680 lors de la phase 1, 1 600 lors de la phase 2 et 120 lors de la phase 3). Près de 1 800 heures de travail ont été consacrées au projet, soit 234 personnes par jour.
Ce projet, qui est mené tous les dix ans dans la foulée du recensement, a relevé des défis majeurs, notamment des délais stricts et un processus de révision structuré. L’équipe de la DAG a réussi à respecter tous les délais prévus et ses efforts diligents ont abouti à une description juridique solide des circonscriptions électorales.
Priorités stratégiques et faits marquants 2022 à 2023
Priorité 1 : Les peuples autochtones en contrôle de leurs terres et la gestion des terres du Nord
Au cours du dernier exercice, la DAG a continué à soutenir l’autonomie gouvernementale autochtone en offrant aux membres des Premières Nations une formation pratique et communautaire en arpentage dans le cadre du Programme de renforcement des capacités en matière d’arpentage (PRCA). Alors que les communautés des Premières Nations reprenaient leurs activités normales après la pandémie, la DAG a redoublé d’efforts pour honorer ses engagements en matière de formation auprès des communautés participantes, étant donné que le financement approuvé pour ce programme se termine en 2023 (référez l’Annexe 4 – Résumé de la formation de renforcement des capacités en matière d’arpentage).
Les objectifs de haut niveau du programme restent les mêmes :
- Accroître les connaissances d’une communauté sur les systèmes fonciers et la gestion des données spatiales afin de concrétiser les aspirations à une gestion efficace des terres.
- Améliorer les connaissances en matière d’arpentage afin que les membres puissent communiquer leurs besoins à la profession locale d’arpenteur-géomètre et permettre aux membres de participer à des projets.
- Offrir une formation continue en science et technologie, plus particulièrement en géomatique.
Roper’s Meadow, initiant l'équipement GNSS
Installation d'une station totale au Lac La Ronge
La DAG continue d’innover et d’expérimenter avec les options d’exécution de programme, en écoutant les commentaires des participants. Au cours des cinq années de financement du programme, son exécution est devenue beaucoup plus souple et personnalisable afin de s’adapter aux divers besoins et approches des différentes communautés. Nos efforts pour consacrer plus de temps aux conversations avec les communautés sur leur histoire et leurs pratiques traditionnelles de gestion des terres ont permis de renforcer les relations grâce à la mise en commun des connaissances dans un forum caractérisé par le respect mutuel.
En 2022 à 2023, le programme a conclu les programmes de formation de 12 semaines avec la Première Nation de St. Mary’s (Nouveau-Brunswick), la Première Nation de Nipissing (Ontario), la Première Nation la Première Nation de Muskoday (Saskatchewan), la Première Nation de Metlakatla (Colombie-Britannique), la Première Nation de Sumas (Colombie-Britannique) et la Première Nation de Kitselas (Colombie-Britannique). Le travail s’est poursuivi avec la Première Nation de Mistawasis et nous avons entrepris des programmes de formation plus courts avec la Nation crie d’Opaskwayak (Manitoba/Saskatchewan), la Première Nation de George Gordon (Saskatchewan) et la Première Nation de Fishing Lake (Saskatchewan). L’équipe de la DAG a également collaboré avec l’Ontario Aboriginal Lands Association (OALA) pour organiser des séances de formation intensive en personne ouvertes à tous les membres de la communauté de l’OALA.
Au cours de leur collaboration dans l’Ouest du Canada, les employés de la DAG ont beaucoup apprécié de travailler ensemble pour animer des séances avec des partenaires autochtones. Un aspect particulièrement remarquable de leur expérience a été la possibilité de mettre en commun des cartes historiques décrivant le lac Fishing entre 1949 et 1969. Ils ont trouvé fascinant de rencontrer les membres de la communauté et d’écouter leurs récits sur les emplacements des anciens sentiers et des anciennes maisons, ainsi que sur le processus de construction de la voie ferrée.
L’un des employés de la DAG a participé activement à de nombreux événements communautaires pendant son séjour à Lac La Ronge, des activités de nettoyage à la recherche de tombes anonymes au sein de la communauté. Pendant ce temps, un autre employé de la DAG a découvert des renseignements historiques importants en travaillant avec la communauté Kitselas et la Compagnie de la Baie d’Hudson. Ces expériences ont enrichi le voyage collectif des employés de la DAG partout au Canada. Ils ont noué des liens significatifs avec leurs partenaires autochtones et approfondi leur compréhension des cultures et histoires diverses présentes dans tout le pays.
Règlement des différends sur les limites
L’Unité de règlement des différends sur les limites a terminé ses travaux en produisant un rapport final au cours de l’exercice 2021-2022. Elle a ensuite été dissoute. Le travail de l’Unité se poursuit au sein de la commission d’examen des limites de la DAG, qui s’est réunie à sept reprises en 2022 à 2023. Par ailleurs, la DAG a passé un contrat avec deux entreprises d’arpentage privées visant à effectuer un examen détaillé du registre cadastral des réserves de Première Nation, pour ensuite le comparer à l’occupation des parcelles sur le terrain. Les travaux ont porté sur le nombre de zones dans le registre dépourvues de parcelles arpentées, le nombre de zones ayant des descriptions insuffisantes ou des problèmes avec l’infrastructure de levés (absence d’abornement, empiètements, etc.) et le nombre de parcelles occupées ne correspondant à aucune zone ou parcelle arpentée.
Les rapports issus de ce travail aideront la DAG à comprendre la situation et à planifier une éventuelle transition vers un registre géré par les Premières Nations. Ils aideront également les Premières Nations à planifier un projet type de renouvellement cadastral si elles le souhaitent.
Travail fait par les bureaux régionaux pour les Premières Nations
Rapports de recherche et de description foncière dans le cadre de la gestion des terres des Premières Nations (GTPN)
Au cours de l’exercice, la DAG a réalisé et remis 10 rapports de recherche et enregistré 22 descriptions foncières. Le nombre de rapports de recherche produits cette année est inférieur à la normale parce que les 10 nouvelles Premières Nations participantes ont été ajoutées très tard dans l’année. Hormis ces 10 nouvelles venues, on a achevé tous les autres rapports de recherche. Au total, nous travaillons avec 38 Premières Nations actives dans le processus d’élaboration. Ce chiffre comprend les 10 nouvelles Premières Nations participantes, soit 86 réserves ajoutées à notre liste à la fin de l’exercice 2022-2023. Il y a également 26 Premières Nations qui sont inactives ou à l’arrêt pour diverses raisons, correspondant à 145 réserves.
Après avoir pris acte des réserves exprimées par les Premières Nations au sujet du contenu et de la présentation de nos rapports de recherche, la DAG a travaillé de concert avec Services aux Autochtones Canada (SAC) et le Centre de ressources du Conseil consultatif des terres afin de revoir ces rapports pour en faciliter la lecture pour les non-initiés. Nous avons également modifié notre manière de présenter nos recherches aux Premières Nations, en nous engageant à rencontrer les Premières Nations avant d’entreprendre les travaux ainsi qu’en présentant les résultats directement aux Premières Nations plutôt que par l’intermédiaire de Services aux Autochtones Canada. Cette approche permettra d’améliorer et d’accélérer la réalisation des travaux destinés aux Premières Nations et de renforcer les relations de travail avec ces communautés.
Kopchitchin - étudier la frontière naturelle
La demande pour les services professionnels offerts par nos bureaux régionaux s’est accrue dans la foulée de l’engagement pris par le Canada en faveur de la réconciliation avec les peuples autochtones et de l’établissement d’aires protégées (parcs nationaux et aires marines protégées). En 2022 à 2023, nos bureaux régionaux ont conclu 30 lettres d’entente interministérielles (LEM) avec d’autres ministères, pour une somme totalisant 3,99 millions de dollars.
Registre des terres des Premières Nations
De 2022 à 2023, la DAG a collaboré avec le Centre de ressources du Conseil consultatif des terres (CRCCT) ainsi qu’avec la Land Title and Survey Authority (LTSA) de la Colombie Britannique, afin d’aider le Conseil consultatif des terres à créer un registre national des terres dirigé par les Premières Nations, ainsi qu’une nouvelle organisation des Premières Nations pour diriger et gérer ce registre. Cette initiative vise également à moderniser le Système d’arpentage des terres du Canada afin que le registre des terres des Premières Nations puisse avoir accès à des services de cartographie et d’arpentage, ainsi qu’à un éventail plus large de services comprenant la validation, la création, l’archivage et la distribution de représentations graphiques (polygones) de zones non levées pour des régimes fonciers transitoires et à court terme existants et nouveaux. Dans le cadre de ce partenariat, la DAG, le CRCCT et la LTSA ont uni leurs efforts afin de favoriser l’autodétermination et la réconciliation économique des Premières Nations dans le domaine de l’enregistrement foncier. En mars 2023, le Cabinet a approuvé un mémoire au Cabinet sur cette initiative et on tente actuellement d’obtenir l’approbation du Conseil du Trésor afin d’avoir accès aux investissements prévus à cette fin dans le budget de 2023.
Premier code foncier opérationnel des Premières Nations dans la région de l’Alberta
En 2022 à 2023, la Première Nation de Fort McKay et la Première Nation des Cris des bois sont devenues les premières communautés de la région de l’Alberta à mettre en place leur propre code foncier en conformité avec l’Accord-cadre relatif à la gestion des terres des Premières Nations et à la Loi sur la gestion des terres des premières nations. Le bureau régional de l’Alberta a soutenu ces deux communautés en leur fournissant un rapport de recherche, ainsi qu’une description des terres documentant l’étendue des terres assujetties au code foncier.
Carte de la Première Nation crie de Woodland.
Une carte de la Première Nation de Fort McKay.
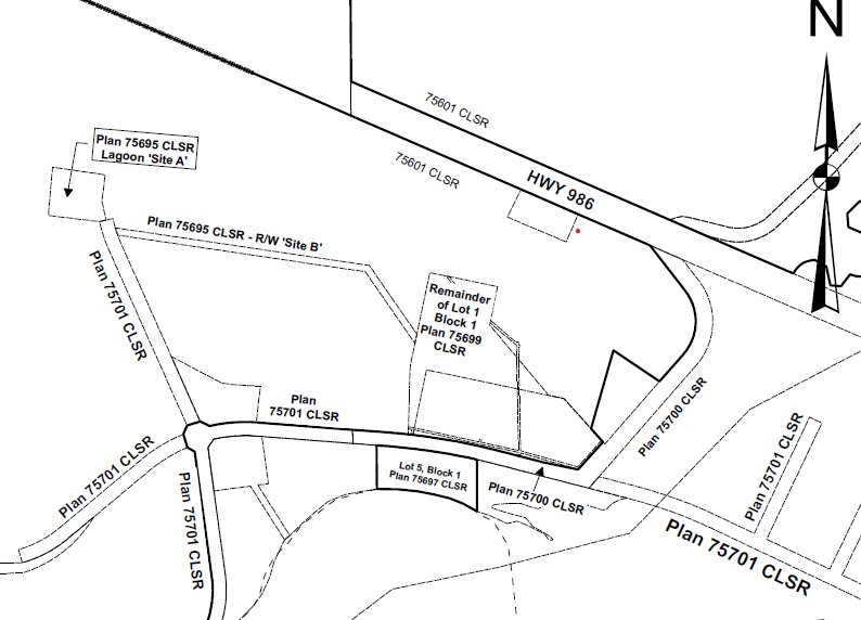
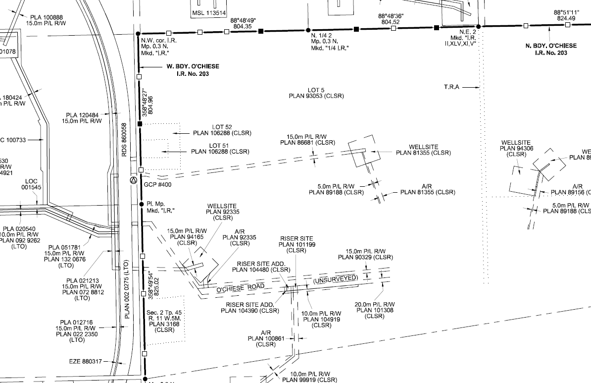
Projets de délimitation des frontières pour la Première Nation d’O’Chiese, la Nation Siksika, la Première Nation crie de Mikisew et la Première Nation de Beaver
En 2022 à 2023, le bureau régional de l’Alberta a terminé des projets de délimitation des frontières sur certaines portions de la réserve indienne no 203 d’O’Chiese (Première Nation d’O’Chiese), de la réserve indienne no 146 (Nation Siksika), de la réserve indienne no 222 de Peace Point (Première Nation crie de Mikisew) et de la réserve indienne no 164 de la rivière Boyer (Première Nation de Beaver). Ces projets ont consisté à étudier les zones d’empiètement potentiel, à éValeurr et à réparer les bornes d’arpentage existantes, ainsi qu’à mettre en place des plaques de délimitation personnalisées.
Carte montrant les infrastructures d'eau et d'égout dans la réserve indienne Louis Bull 138B
Levés des infrastructures souterraines pour la tribu Louis Bull
En 2022 à 2023, la tribu Louis Bull a demandé l’aide du bureau régional de l’Alberta pour localiser les infrastructures d’eau et d’égout dans la communauté. Ce projet a consisté à cartographier l’emplacement des puits, des fosses septiques, des robinets automatiques de débit d’eau, des regards, des bâtiments abritant des infrastructures hydrauliques ainsi que des conduites d’eau et d’égout.
Notes de terrain concernant l’entretien des limites de la RI 203 d’O’Chiese.
Plaques de délimitation placées à Siksika 146
Arpentage de lots de cimetière pour la Première Nation de Saddle Lake, la Première Nation de Cold Lake et la Première Nation des Cris de Bigstone et arpentage de lots en vue de l’aménagement d’un centre de santé communautaire pour la Nation crie de Driftpile
En 2022 à 2023, à la demande de plusieurs Premières Nations, le bureau régional de l’Alberta a terminé les levés de sites existants et proposés pour l’aménagement de cimetières dans la réserve indienne no 125 de Saddle Lake, la réserve indienne no 149 de Cold Lake et les réserves indiennes nos 166, 166C et 166D de Wabasca. Ces levés ont nécessité des consultations avec la communauté pour discuter de l’emplacement actuel des lots de cimetière et de l’aménagement des lots proposés en tenant compte des utilisations passées, actuelles et futures. Un projet semblable a également été réalisé à la demande de la Nation crie de Driftpile. Dans la réserve indienne no 150 de Driftpile River, quatre lots ont été demandés pour accueillir un centre de santé existant dans la communauté.
Arpentage sur les aires clôturées du cimetière de la réserve indienne de Cold Lake 149
Activités dans le Nord (Yukon, Territoires du Nord-Ouest et Nunavut)
La DAG assure la mise en œuvre du Système d’arpentage des terres du Canada dans ces trois territoires. Ce système, qui jette les bases des droits de propriété dans le Nord et en est une composante essentielle, est rendu obligatoire à la fois par des lois fédérales et territoriales.
Il est extrêmement important pour la DAG de collaborer aux projets de revendications territoriales globales, car cela facilite l’établissement de liens avec les groupes autochtones, les gouvernements territoriaux et d’autres ministères, notamment Relations Couronne Autochtones et Affaires du Nord Canada (RCAAANC).
Les travaux sur les revendications territoriales sont également essentiels pour les Canadiens du Nord, car ils offrent aux groupes autochtones et aux gouvernements territoriaux une certitude quant aux limites des terres et qu’ils aident à prévenir les conflits territoriaux futurs entre ces deux grands détenteurs de terres.
En 2021 à 2022, la DAG a lancé le programme quinquennal d’arpentage des terres des Gwich’in dans les Territoires du Nord-Ouest. Le financement a été approuvé dans le cadre de l’Entente sur les revendications territoriales globales des Gwich’in; le programme doit se dérouler de 2021 à 2026. La DAG entretient des relations positives et croissantes avec l’Administration des terres des Gwich’in et le Conseil tribal des Gwich’in (CTG).
S’appuyant sur ces liens solides créés avec le Conseil tribal des Gwich’in, la DAG a entrepris un travail détaillé en vue d’améliorer sensiblement le processus de passation des marchés, en mettant à jour l’ordre d’évaluation des propositions de manière à favoriser la participation des Autochtones. La pandémie de COVID-19 a fait naître des défis de taille dans l’exécution des contrats. Le dialogue ouvert avec le personnel et les entrepreneurs du CTG a toutefois permis d’élaborer des protocoles et des procédures pour favoriser la formation et le travail sur place.
Deux nouvelles ententes sur les revendications territoriales globales devraient être conclues dans les Territoires du Nord-Ouest. La première concerne les Dénésulines d’Athabasca et les Dénés de Ghotelnene K’odtineh et la deuxième, la Première Nation des Nacho Nyak Dun. La deuxième entente comporte un volet transfrontalier, car l’administration centrale et le lieu d’établissement de la Première Nation se trouvent au Yukon, alors que la sélection des terres se fera dans les Territoires du Nord-Ouest.
Le bureau régional du Yukon a réussi à maintenir une norme de service durant cette année de pandémie, en veillant à la mise en place d’un processus fiable et à la ratification des résultats de l’arpentage dans le Système d’arpentage des terres du Canada. Plus précisément, la ville de Whitehorse et le gouvernement du Yukon ont continué à accorder une grande importance à l’aménagement de terrains pour la construction d’unités d’habitation. À la suite des récentes modifications apportées aux politiques du gouvernement du Yukon, les projets d’arpentage numérique sont désormais autorisés; les arpenteurs privés et la DAG disposent donc d’un outil supplémentaire pour traiter et enregistrer efficacement les documents d’arpentage à l’appui de l’administration territoriale des terres. De plus, la DAG a commencé à apporter son appui au bureau des titres de biens-fonds du Yukon en prévision de l’adoption de nouveaux règlements établis sous le régime de la Loi sur les condominiums du Yukon. La gouvernance des condominiums est fortement réglementée, et ce type de propriété foncière est un outil essentiel pour accroître la disponibilité de logements dans un marché où il y a pénurie.
Priorité no 2 : La géoréférence pour permettre au Canada de garantir le bien-être futur de notre économie
Les Levés géodésiques du Canada (LGC) ont continué d’établir le cadre de référence fondamental et les normes devant servir à mesurer la latitude, la longitude, l’altitude et la gravité partout au Canada. Ils surveillent les mouvements de notre masse continentale pour appuyer la géomatique et les géosciences à l’aide du Système canadien de référence spatiale (SCRS) et du positionnement ponctuel précis (PPP). En 2025, le SCRS, qui est la base du positionnement au Canada, fera l’objet d’une mise à niveau majeure, parallèlement à ce qui se fait aux États-Unis. Les efforts au cours de la dernière année ont porté essentiellement sur la préparation à cette transition ainsi que sur la première expansion et mise à niveau de l’infrastructure.
La dernière mise à jour prévue de la version 8 du système NAD83 (SCRS), visant à rendre le système conforme aux nouvelles normes relatives au cadre international de référence, a commencé, et les travaux menés avec nos homologues américains en vue de définir de nouveaux systèmes de référence se sont poursuivis. Ces travaux permettront d’améliorer la précision du cadre pour répondre aux besoins du Canada en matière de positionnement et marqueront une étape vers la modernisation du cadre de référence au Canada.
Le nombre de clients désireux d’obtenir des données de positionnement essentielles grâce au service de positionnement ponctuel précis du SCRS et aux outils géodésiques ne cesse d’augmenter, le nombre de fichiers extraits ayant augmenté de 45 % par rapport à 2021. Ce service a d’importantes applications dans un large éventail de domaines, notamment l’arpentage, l’ingénierie, la construction, la glaciologie, la géodynamique et la science de la mer. Durant l’exercice financier 2022 à 2023, les LGC comptaient plus de 11 000 clients actifs et ont traité près de 1,3 million de dossiers.
Utilisation mondiale du Système de référence spatiale du Canada en 2021
Actualités spatiales
Le Centre canadien de cartographie et d’observation de la Terre (CCCOT) a récemment cédé la direction du groupe de travail sur l’espace de RNCan aux Levés géodésiques du Canada. Ce groupe de travail avait été créé pour faciliter la mise en commun de l’information au niveau opérationnel dans l’espoir que les intérêts et les activités de RNCan soient davantage pris en compte lors de la prise de décision.
En 2022, une étude visant à mieux comprendre les besoins en infrastructures de positionnement, de navigation et de synchronisation (PNS) pour les systèmes de transport de la prochaine génération a été réalisée pour le compte de Transports Canada. De nombreuses recommandations ayant une incidence sur les LGC ont été formulées au terme de cette étude :
- établissement de stations de référence du système mondial de navigation par satellite (GNSS) dans des zones précises pour combler les lacunes dans le Nord;
- amélioration et modernisation continues du système de référence du Canada pour soutenir des services de positionnement de haute précision;
- élaboration d’un modèle de l’ionosphère en temps réel destiné aux intervenants canadiens, afin de réduire le temps de convergence;
- établissement d’un modèle opérationnel national pour garantir le respect des exigences relatives aux services PNS fournis par l’industrie pour les transports routiers et maritimes.
Les LGC étudient les options qui s’offrent pour soutenir l’innovation dans ce domaine au Canada et pour répondre aux besoins énoncés dans ce rapport.
Projet d’observation de la Terre depuis l’espace
En octobre 2021, les LGC ont obtenu un financement sur cinq ans pour développer l’infrastructure du système mondial de navigation par satellite (GNSS) du Canada en y ajoutant au moins 22 stations GNSS, afin d’accroître la précision et la disponibilité des données de PNS en temps réel dans l’ensemble du Canada. En 2022 à 2023, deux stations ont été aménagées, et la logistique a été mise en place en vue de l’installation de neuf (9) stations durant l’été 2023. Cette logistique repose sur des accords de collaboration conclus avec le secteur privé (p. ex., Ontario Power Generation), d’autres ministères (p. ex., Parcs Canada et l’Agence spatiale canadienne) et des universités (Université d’Athabasca). Grâce à ces ajouts, les LGC collaboreront à la définition du cadre de référence terrestre international et pourront mieux tirer profit de la collaboration en vue d’obtenir davantage de données ionosphériques des stations GNSS fonctionnant en continu et d’offrir des capacités multi-GNSS pour plusieurs gammes de produits et clients des LGC.
Nouvelle station de l'observation de la Terre (OT) depuis l'espace (CAPB) à un marégraphe à Channel-Port aux Basques, Terre-Neuve
Nouvelle station de l'observation de la Terre (OT) depuis l'espace (CALV) à Calvert Island, Colombie-Britannique
Système de référence international des Grands Lacs (SRIGL)
En 2022 à 2023, les LGC ont poursuivi leurs travaux visant à recueillir des données pour moderniser le Système de référence international des Grands Lacs (SRIGL), en partenariat avec le National Geodetic Survey des États-Unis. Le SRIGL est le système de référence commun utilisé pour mesurer avec précision les niveaux d’eau dans l’ensemble du bassin des Grands Lacs et du Saint-Laurent; il s’agit d’un système essentiel pour assurer la cohérence de la navigation maritime, de la gestion des eaux, de l’arpentage et de l’aménagement du territoire.
Carte des Grands Lacs : stations occupées par des arpenteurs canadiens (rouge) et américains (bleu)
En offrant une référence commune pour l’ensemble des Grands Lacs, les gouvernements peuvent garantir qu’une élévation du niveau de l’eau de 30 cm mesurée à Thunder Bay a la même signification qu’une élévation de 30 cm mesurée à l’embouchure de la voie maritime du Saint-Laurent. Ce système de référence doit être mis à jour tous les 25 à 35 ans. Il s’agit d’un élément essentiel pour la gestion des ressources en eau douce des Grands Lacs, lesquelles sont utilisées par plus de 10 millions de personnes dans la région. La sécurité et la viabilité économique de l’industrie de la navigation commerciale et de la vaste communauté de plaisanciers sur les Grands Lacs, ainsi que des ports de toute la région, dépendent toutes de la précision des données sur le niveau de l’eau.
Projet de modernisation du cadre de référence
Grâce à une collaboration avec des représentants de gouvernements provinciaux, plusieurs mesures ont été mises en place en vue d’unifier l’utilisation du cadre de référence au Canada dans le cadre du projet de modernisation du cadre de référence des LGC. Le Conseil canadien de géomatique a adopté une résolution en faveur de la modernisation et d’une unification entre les administrations provinciales et autres. Plusieurs webinaires et ateliers ont été organisés et plus de 200 personnes ont répondu à une enquête auprès de la clientèle sur les dépendances réglementaires du cadre de référence. Un sommet binational réunissant des développeurs géospatiaux a été organisé en partenariat avec le National Geodetic Survey des États-Unis. Les LGC annoncent maintenant qu’ils prévoient adopter les cadres de référence nord-américains en 2025, parallèlement à ce qui se fait aux États-Unis, et que les clients disposeront de produits et d’outils pour faciliter la migration des ensembles de données vers le nouveau SCRS.
Projet de positionnement, de navigation et de synchronisation
Les LGC ont continué de collaborer avec des collègues de domaines scientifiques et géoscientifiques au Canada en vue de faire avancer la recherche géodésique et d’appuyer les efforts de coordination du gouvernement fédéral en matière de PNS au Canada. Les LGC président le Comité canadien des sciences géodésiques et de leurs applications qui a pour mission de favoriser l’échange de renseignements et de faire avancer la recherche dans ce domaine au Canada. Les LGC collaborent avec des collègues des géosciences au sein de RNCan et d’autres ministères (Pêches et Océans Canada et Environnement et Changement climatique Canada) sur des questions scientifiques et opérationnelles. Les LGC collaborent également avec l’organisme Oceans Network Canada en vue d’intégrer des données de positionnement GNSS en temps réel aux données sismiques pour les futurs systèmes d’alerte rapide aux tsunamis.
Les efforts dans ce domaine ont consisté à réunir des intervenants pour échanger, collaborer et favoriser une meilleure connaissance du PNS, promouvoir des utilisations résilientes et soutenir la croissance économique du Canada. L’une des initiatives clés à l’heure actuelle vise à mieux répondre aux besoins des technologies de conduite autonome et assistée.
Météorologie de l’espace
Sur le plan international, les LGC ont continué d’appuyer le Canada dans sa participation à un consortium international sur la météorologie de l’espace qui réunit l’Australie, le Canada, la France et le Japon. Les données sur la teneur en électrons de l’atmosphère terrestre sont obtenues à partir d’instruments géodésiques grâce à des flux spécialisés de données, des systèmes logiciels scientifiques et la réalisation de produits en conformité avec les normes internationales.
Les LGC fournissent ces données ainsi que d’autres renseignements sur les changements rapides de la teneur en électrons (scintillation). Ces données géodésiques sont un élément essentiel du travail du consortium et s’ajoutent à d’autres types de données provenant du Service canadien d’information sur les risques. Le consortium international fournit également des données de météorologie de l’espace à l’aviation civile, sous l’égide de l’Organisation de l’aviation civile internationale des Nations Unies.
Au cours de l’année, les LGC ont participé à plusieurs projets de recherche nationaux et internationaux. Les résultats de leurs recherches ont été présentés dans divers ouvrages qui ont été publiés tout au long de l’année (référez l’Annexe 5 – Publications).
Priorité no 3 : Protection des océans du Canada
Cette année, le volume de travail entrepris dans le cadre de la priorité donnée à la protection des océans du Canada a été dicté par la nécessité de revoir les principaux instruments législatifs (une recommandation découlant de l’audit du Programme d’arpentage des terres du Canada réalisé en 2019) et par la nouvelle Stratégie de l’économie bleue du Canada.
Dans un premier temps, la DAG a engagé des discussions informelles avec plusieurs ministères fédéraux qui sont chargés de l’administration des droits, des restrictions et des responsabilités liés aux océans du Canada. Les premiers entretiens ont eu lieu avec quelque 40 participants représentant divers secteurs opérationnels de six ministères fédéraux.
Ces premières conversations ont clairement fait ressortir la nécessité d’établir une structure de gouvernance plus inclusive et mieux intégrée pour le milieu marin du Canada, qui soit assortie de processus réglementaires prévisibles et bien définis et qui repose sur des ensembles de données géographiques à jour et qui font autorité. Les discussions ont d’abord porté sur la Loi sur l’arpentage des terres du Canada, mais les participants ont également mentionné d’autres instruments législatifs clés qui doivent être modernisés et mieux intégrés.
Il est également clairement apparu que, pour mieux comprendre les principaux enjeux, il fallait élargir le cadre des discussions, étant donné la diversité du milieu marin du Canada et la multiplicité des parties qui interviennent dans son administration.
Une série d’ateliers a été conçue pour permettre aux participants de présenter leurs rôles actuels dans l’administration maritime, leurs fondements législatifs et leurs défis actuels liés à la gouvernance de l’espace maritime. L’objectif était de jeter les bases d’une communauté de pratique maritime canadienne afin de dégager un consensus sur l’infrastructure nécessaire pour mieux soutenir la gouvernance de l’espace maritime au Canada, y compris les processus réglementaires, les systèmes d’information et les outils de soutien.
Un résumé des conclusions de ces ateliers figure à l’Annexe 6 (ateliers sur la gouvernance de l’espace maritime au Canada).
Relever les défis actuels et futurs
En plus de respecter ses engagements et de fournir un accès à des systèmes de levés, à une infrastructure de positionnement et à un cadre fiables, la DAG a travaillé à cerner les défis actuels et futurs. En 2022 à 2023, la DAG a continué à s’adapter à la pandémie de COVID-19 et au mode de travail hybride, aux problèmes de chaîne d’approvisionnement, à l’évolution des technologies et au renforcement de nos capacités en matière de ressources humaines.
La pandémie de COVID-19
La pandémie de COVID-19 a continué à créer des problèmes dans la prestation de nos programmes et a modifié l’environnement de travail des employés. Au début de l’année 2022, la pandémie s’est poursuivie, d’importantes restrictions ont été imposées aux voyages nationaux et internationaux et de nombreuses communautés autochtones ont restreint l’accès à leur territoire pour des raisons de santé et de sécurité. Ces restrictions ont modifié la manière dont les employés de la DAG interagissent avec les communautés d’arpenteurs-géomètres et de géodésiens, en privilégiant les interactions en ligne plutôt qu’en personne.
Au sein des Levés géodésiques du Canada, les travaux sur le terrain ont été suspendus pendant toute l’année, à quelques exceptions près, en raison des restrictions de voyage causées par la pandémie de COVID-19.
Pour le Programme du système d’arpentage des terres du Canada, le travail sur le terrain a également été réduit ou suspendu, parce que de nombreuses collectivités étaient fermées aux entrepreneurs extérieurs. Le travail sur le terrain effectué par la Commission de la frontière internationale pour entretenir la frontière internationale n’a été que partiellement touché. Les travaux ont été concentrés dans des zones où la frontière était facilement accessible depuis le Canada et ne nécessitait pas de se rendre aux États-Unis.
Le Programme de renforcement des capacités en matière d’arpentage a continué à proposer plusieurs séances de formation en ligne. Les réunions virtuelles avec les communautés autochtones et les partenaires sont devenues la norme. Les conférences et les présentations, qui se tenaient généralement en personne, sont devenues des événements virtuels. La pandémie de COVID-19 a modifié notre façon de travailler, en passant du travail au bureau au travail à domicile.
Main-d’œuvre hybride
À l’automne 2022, les employés de la DAG ont commencé à reprendre progressivement le travail au bureau à raison de 1 à 2 jours par semaine. L’objectif était de mettre à l’essai le modèle hybride et de résoudre les problèmes éventuels avant le 1er avril 2023, date à laquelle le gouvernement du Canada introduira un nouveau modèle de travail hybride, exigeant des employés qu’ils soient physiquement présents sur leur lieu de travail deux à trois jours par semaine, ce qui représente 40 à 60 % de leur horaire de travail habituel.
Problèmes de chaîne d’approvisionnement
La pandémie de COVID-19 a entraîné des difficultés opérationnelles, notamment des problèmes de chaîne d’approvisionnement, ce qui a réduit notre capacité à acquérir le matériel nécessaire à l’entretien et à l’amélioration de nos stations GNSS et à la reconstitution de nos immobilisations. L’achat d’équipements hautement spécialisés a été particulièrement touché par ce problème.
L’évolution des technologies
L’année 2022 à 2023 a été marquée par des défis liés à l’évolution rapide des technologies, qui ont nécessité une surveillance vigilante de nos systèmes, de nos processus et de nos normes. La DAG en fait une priorité dans ses activités quotidiennes afin de rester en phase avec les demandes en constante évolution de l’industrie et des clients. Nous devons rester au fait des technologies nouvelles et innovantes et faire preuve d’agilité dans cette ère technologique complexe.
L’année dernière, la DAG a investi dans la modernisation de ses applications IP, protégeant ainsi son autorité et assurant la viabilité à long terme de ses systèmes, afin de répondre à ses besoins opérationnels. Cet investissement souligne son engagement à améliorer l’efficacité et l’efficience de ses applications, ce qui lui permet de maintenir sa position d’autorité de premier plan dans l’industrie.
Le programme du SATC de la DAG a mis à jour le navigateur de cartes Web avec les modèles Web standard de RNCan et a actualisé toutes les applications de la gestion cadastrale intégrée (GCI) pour l’évaluation de la sécurité et l’autorisation. La DAG continuera à adapter ses pratiques et à mettre en œuvre de nouvelles technologies si nécessaire.
Les LGC de la DAG répondent au besoin croissant de soutenir l’industrie et la science dans des domaines d’application élargis qui créent de nouvelles demandes et pressions sur l’infrastructure GNSS. Les besoins émergents nécessitent une infrastructure offrant une plus grande précision, une meilleure résistance aux cyberattaques, une meilleure disponibilité pour répondre aux besoins des technologies autonomes et une plus grande évolutivité des services.
Grâce à un partenariat de longue date avec le secteur universitaire, les LGC de la DAG étudient la façon d’intégrer les données de 350 nouvelles stations pour la modélisation de l’ionosphère et d’autres applications au cours des prochaines années.
Le besoin d’extensibilité et de modernisation du réseau GNSS a généré un projet de trois ans visant à migrer le traitement des données GNSS vers un environnement infonuagique.
La DAG continuera à soutenir l’élaboration du plan de relance économique après la pandémie du Canada et à assurer un leadership national en matière de services de PPP.
Renforcer les capacités des ressources humaines
Le personnel de la DAG est réparti dans tout le Canada, opérant à partir de 10 bureaux régionaux et d’un bureau principal à Ottawa. En travaillant à proximité des clients et des intervenants, nous pouvons renforcer la collaboration et rester informés des besoins et des priorités régionales. En 2022 à 2023, nos employés étaient répartis dans divers groupes professionnels, notamment ENSUR, EC, EG, IT et AS (référez l’Annexe 7 – Données sur les ressources humaines).
Dans nos bureaux régionaux, le principal défi est de faire face à un marché du travail tendu et à la difficulté d’attirer et de maintenir en poste du personnel talentueux. Il en va de même pour la division des Levés géodésiques du Canada, où le maintien de la main-d’œuvre spécialisée nécessaire pour poursuivre les contributions actuelles en tant qu’experts mondiaux et pour générer de nouveaux produits et services GNSS a été, et continuera d’être, un défi. Les LGC sont également confrontés à un défi : plusieurs membres de leur équipe de direction doivent partir à la retraite au cours des prochaines années.
Afin d’alléger la pression sur les ressources humaines, la DAG utilise avec succès son programme de perfectionnement des arpenteurs-géomètres pour attirer les jeunes diplômés, en leur offrant des possibilités de perfectionnement et des expériences qu’ils n’auraient pas dans le secteur privé.
Le programme de perfectionnement des arpenteurs-géomètres a été créé en 2017 pour faciliter la planification de la relève et le recrutement. Ce programme soutient d’abord l’embauche et la formation de nouveaux diplômés en arpentage. Il offre également la possibilité aux employés actuels de participer à ce programme de perfectionnement. Ce programme aide les diplômés et les employés actuels à acquérir l’expérience professionnelle nécessaire pour devenir des arpenteurs agréés, en mettant l’accent sur les possibilités offertes aux participants autochtones. Le programme compte actuellement sept candidats qui ont acquis une expérience inestimable grâce à diverses missions sur le terrain dans les bureaux régionaux, à la Commission de la frontière internationale et à des détachements dans le secteur privé. À l’heure actuelle, trois candidats travaillent sur des projets au sein de la DAG afin de remplir les conditions d’obtention du permis d’exercer de l’Association des arpenteurs des terres du Canada. Le programme de perfectionnement des arpenteurs-géomètres a considérablement amélioré la capacité de la DAG à rivaliser avec l’industrie en attirant les diplômés des programmes d’arpentage. L’organisation a réussi à embaucher quatre nouveaux candidats au cours des derniers mois, ce qui a permis de renforcer le programme et d’assurer un afflux régulier de professionnels talentueux.
Étant donné l’augmentation du nombre de départs à la retraite, nous devons veiller à ce que les connaissances et l’expérience des retraités soient transmises efficacement à la prochaine génération de professionnels. La DAG reconnaît également la nécessité d’intégrer davantage d’étudiants dans des postes permanents, en particulier dans les régions. La pénurie de personnel est donc au premier plan des priorités de la DAG.
Annexe 1 : Contactez-nous
Bureaux principaux
Bureau de l’arpenteur général
Ressources naturelles Canada
10e étage
580, rue Booth
Ottawa (Ontario) K1A 0E8
Arpenteur général : Jean Gagnon
Téléphone : 343-292-6642
Télécopieur : 613-947-1388
Courriel : jean.gagnon@NRCan-RNCan.gc.ca
Division du Nord du Canada
Bureau 225, 2e étage
300, rue Main
Whitehorse (Yukon) Y1A 2B5
Téléphone : 867-333-3387
Courriel : mark.hatcher@NRCan-RNCan.gc.ca
Division de l’Est du Canada
10e étage
580, rue Booth
Ottawa (Ontario) K1A 0E8
Téléphone : 613-899-6611
Télécopieur : 613-947-1388
Courriel : martin.gingras@NRCan-RNCan.gc.ca
Levés géodésiques du Canada
10e étage
580, rue Booth
Ottawa (Ontario) K1A 0E8
Téléphone : 343-292-6638
Télécopieur : 613-947-1388
Courriel : calvin.klatt@NRCan-RNCan.gc.ca
Division de l’Ouest du Canada
Bureau 1501, 15e étage
1138, rue Melville
Vancouver (Colombie-Britannique) V6E 4S3
Commission de la frontière internationale – Section canadienne
10e étage
580, rue Booth
Ottawa (Ontario) K1A 0E8
Téléphone : 343-543-6619
Courriel : jean.gagnon@NRCan-RNCan.gc.ca
Bureaux régionaux
Bureau régional de l’Atlantique
40, rue Havelock, 2e étage
B.P. 67
Amherst (Nouvelle-Écosse) B4H 3Y6
Téléphone : 902-661-6766
Télécopieur : 902-661-6769
Courriel : ronald.robichaud@NRCan-RNCan.gc.ca
Bureau régional de l’Alberta
2e étage, salle 2001
5320, 122e rue Nord-Ouest
Edmonton (Alberta) T6H 3S5
Téléphone : 780-224-3930
Télécopieur : 825-510-1121
Courriel : steven.rogers@NRCan-RNCan.gc.ca
Bureau régional du Québec
4e étage, salle 401
320, rue Saint-Joseph Est
Quebec (Québec) G1K 8G5
Téléphone : 418-648-7681
Télécopieur : 418-648-5728
Courriel : eric.groulx@NRCan-RNCan.gc.ca
Bureau régional de la Colombie-Britannique
15e étage, salle 1501
1138, rue Melville
Vancouver (Colombie-Britannique) V6E 4S3
Bureau régional de l’Ontario
300-655, rue Bay
C.P. 15
Toronto (Ontario) M5G 2K4
Téléphone : 416-527-9155
Télécopieur : 416-973-1004
Courriel : gavin.lawrence@NRCan-RNCan.gc.ca
Bureau régional des Territoires du Nord-Ouest
Salle 2-230-4
5101, 50e avenue
C.P. 668
Yellowknife (Territoire du Nord-Ouest) X1A 2N5
Bureau régional du Manitoba
2e étage, salle 250
365, rue Hargrave
Winnipeg (Manitoba) R3B 2K3
Téléphone : 431-373-1294
Télécopieur : 204-983-0157
Courriel : keith.norek@NRCan-RNCan.gc.ca
Bureau régional du Nunavut
#1-1093 rue Qamaniqtuaq
Iqaluit (Nunavut) X0A 0H0
Bureau régional de la Saskatchewan
701-1783, rue Hamilton
Regina (Saskatchewan) S4P 2B6
Téléphone : 306-780-5402
Télécopieur : 306-780-5191
Courriel : akbarali.karsan@NRCan-RNCan.gc.ca
Bureau régional du Yukon
Bureau 225, 2e étage
300, rue Main
Whitehorse (Yukon) Y1A 2B5
Annexe 2 – Indicateurs du programme
Indicateurs de la DAG – Système d’arpentage des terres du Canada
Indicateurs généraux
Pour maintenir le SATC et les registres fonciers du Canada, la DAG effectue diverses opérations quotidiennes importantes représentées par les indicateurs du tableau suivant. Ce travail constitue la base de tous les projets et programmes qui soutiennent les quatre priorités stratégiques de la DAG.
| Produits mesurés | 2022–2023 |
|---|---|
| Nouvelles parcelles créées dans les jeux de données cadastrales | 5 195 |
| Nombre de parcelles entretenues | 327 027 |
| Instructions d’arpentage produites | 688 |
| Documents enregistrés dans le registre d’arpentage des terres du Canada | 1 268 |
Droits fonciers issus de traités en Saskatchewan
Les revendications relatives aux droits fonciers issus de traités peuvent être présentées par les Premières Nations qui n’ont pas reçu toutes les terres auxquelles elles avaient droit en vertu de traités signés par la Couronne. En Saskatchewan, une grande partie de ces terres a déjà été arpentée dans le cadre du système de cantons de la province. La DAG est chargée d’examiner ces parcelles afin de cerner et de résoudre toute ambiguïté ou tout problème connexe.
| Produits mesurés | 2022–2023 |
|---|---|
| Superficie des parcelles décrites | 11 742 ha |
| Terres ajoutées à la réserve à ce jour | 1 129 ha |
Droits fonciers issus de traités au Manitoba
Au Manitoba, une proportion importante des terres des Premières Nations visées par un traité n’a pas encore été arpentée. La DAG est responsable de l’arpentage de ces terres de la Couronne afin de définir les sélections de terres et de s’assurer que le Canada respecte ses obligations en vertu des traités. L’avancement de ce travail est mesuré par les paramètres ci dessous.
| Produits mesurés | 2022–2023 |
|---|---|
| Superficie arpentée | 3 599,280 ha |
| Terres ajoutées à la réserve à ce jour | 716 121,196 ha |
Indicateurs de la GTPN
Ces paramètres représentent le travail effectué pour aider à fournir une certitude sur l’étendue des terres qu’une Première Nation administre par le biais de l’Accord‐cadre relatif à la gestion des terres des Premières Nations.
| Produits mesurés | 2022–2023 |
|---|---|
| Descriptions de terrains | 22 achevées |
| Rapports de recherche achevés | 10 |
Lettres d’entente interministérielles et contrats d’arpentage au secteur privé
Afin de soutenir le mandat et les obligations de nos partenaires dans d’autres ministères, certaines activités de la DAG sont réalisées en recouvrement des coûts. Les chiffres du tableau suivant sont des indicateurs du travail accompli dans ce contexte. La majorité des contrats d’arpentage attribués au secteur privé sont le résultat de ces lettres d’entente interministérielles.
| Produits mesurés | 2022–2023 |
|---|---|
| Lettres d’entente interministérielles | |
| Lettres d’entente | 30 |
| Valeur | 3 990 117 $ |
| Contrats d’arpentage au secteur privé | |
| Contrats | 185 |
| Valeur | 3 011 839 $ |
Indicateurs de la DAG – Levés géodésiques du Canada
Les indicateurs suivants sont tirées du profil d’indicateurs de rendement des LGC et serviront de point de référence clé pour les évaluations futures. Ces indicateurs sont utilisés pour suivre les réalisations et les résultats des LGC d’année en année. Ils sont alignés sur les résultats immédiats attendus de la division (fournir des données géodésiques accessibles, précises et opportunes) et les résultats intermédiaires (géoréférencement à un système de référence canadien commun conforme aux normes internationales).
| Produits mesurés | Cible | 2022–2023 |
|---|---|---|
| Des données géodésiques accessibles, précises et actuelles | ||
| Nombre de stations GNSS pour lesquelles les données sont distribuées | ≥112 | 141 |
| Précision des orbites GNSS par rapport aux normes internationales | <2 cm | 1,27 cm |
| Précision horizontale des produits GNSS en temps réel | <10 cm dans 95 % du temps | 15,3 |
| Stations GNSS utilisées pour le calcul des cadres de référence et de vitesse | >330 | 338 |
| Précision du réseau canadien de normalisation de la gravité | <10 micro-Gals | S.O.Note de bas de page 1 |
| Disponibilité des fichiers de données quotidiennes du SCCA (dans les 30 minutes après la fin de la journée) | >95 % | 95,70 % |
| Disponibilité des produits d’orbite et d’horloge rapides (dans les 12 heures après la fin de la journée) | ≥95 % | 97,59 % |
| Géoréférencement à un système de référence canadien commun conforme aux normes internationales | ||
| Nombre d’utilisateurs directs des produits de données des LGC | ≥7 000 | 11 006 |
| Demandes de produits et de services des LGC | 300 000 | 608 210 |
| Nombre de stations de référence GNSS commerciales surveillées par les LGC dans le cadre du programme de conformité RTK | >500 | 701 |
Annexe 3 – SGB Dashboard projects
Le tableau suivant présente l’état d’avancement des 26 projets en cours mentionnés et gérés dans le cadre du plan d’activités intégré de 2020-2023. Certains de ces projets devraient se poursuivre au-delà de 2023, y compris quelques-uns qui nécessitent plus de temps que prévu initialement. Ces retards sont attribuables à plusieurs circonstances, dont la pandémie de COVID-19. À la fin de l’exercice 2022-2023, douze (12) projets ont été achevés.
| Nombre | Projet | Description du projet |
|---|---|---|
| 1 | Modernisation de la Loi sur les arpenteurs des terres du Canada | Mettre au point les modifications à la Loi sur les arpenteurs des terres du Canada (la Loi) pour répondre à la demande soumise par l’AATC et pour moderniser le cadre législatif soutenant la profession d’arpenteur des terres du Canada. La Loi n’a pas été révisée depuis son entrée en vigueur en 1999. TERMINÉ. La loi doit être adoptée en troisième lecture par le Sénat et la Chambre des communes avant de recevoir la sanction royale et de devenir une loi. Ce projet a été terminé en mars 2022. |
| 2 | Élaboration d’un protocole d’entente (PE) avec le Centre de ressources de la Gestion des terres des Premières Nations (GTPN) | Négocier une entente intergouvernementale avec le Conseil consultatif des terres et le Centre de ressources de la Gestion des terres des Premières Nations concernant les spécifications de la description des terres pour les transactions enregistrées dans le Registre des terres des Premières Nations. Après le budget de 2023, un nouveau cadre de référence sera préparé afin que le PE puisse être mis en place dans le cadre du nouveau PAI. 75 % terminé |
| 3 | Renouveler l’entente-cadre avec Services aux Autochtones Canada | Renouvellement d’une entente interministérielle avec Services aux Autochtones du Canada, relative à la coopération sur les projets d’arpentage légal et les spécifications des descriptions des terres pour les transactions enregistrées dans le Registre des terres indiennes. Cela permettra également de répondre à une recommandation du rapport de vérification du programme du SATC. Ce projet se poursuivra dans le cadre du nouveau PAI. 25 % terminé |
| 4 | Moderniser la production de produits d’orbite et d’horloge du système mondial de navigation par satellite (GNSS) | Les ensembles actuels de détermination précise de l’orbite (DPO) exploités par les LGC sont limités aux constellations GPS ou GLONASS et ont atteint leurs limites d’efficacité. Le logiciel Gipsy-X nouvellement acquis consolidera la production de toutes les gammes de produits DPO et permettra le traitement des constellations émergentes, en maintenant la qualité des contributions internationales de RNCan et en soutenant les clients des LGC qui acquièrent des signaux de constellations multiples. Ce projet se poursuivra dans le cadre du nouveau PAI. 65 % terminé |
| 5 | Améliorer la précision et l’efficacité du service SCRS-PPP | Le service Système canadien de référence spatiale – positionnement ponctuel précis (SCRS-PPP) permet aux utilisateurs de GNSS de recueillir des données sur le terrain, de les télécharger vers RNCan et de recevoir en quelques minutes une estimation de leur position, ainsi que des estimations de qualité et des rapports visuels. Le service est en cours de modernisation pour inclure la résolution d’ambiguïté (PPP-RA), une convergence plus rapide utilisant des données ionosphériques externes, et le traitement de nouveaux signaux et constellations (Galileo et GPS L5). Ce projet n’a pas été terminé en raison d’un manque de ressources. Il sera transféré vers le nouveau PAI. 55 % terminé |
| 6 | Co-développer le système de référence spatiale 4D nord-américain | Contribuer au développement d’un système de référence spatiale 4D nord-américain en collaboration avec le NGS et l’Instituto Nacional de Estadística y Geografía (INEGI) du Mexique. Ce travail comprend la définition du cadre de référence terrestre nord-américain de 2022 (NATRF2022) et du Système de référence géodésique nord-américain et pacifique de 2022 (NAPGD2022). Ce projet se poursuivra dans le cadre du nouveau PAI. 10 % terminé |
| 7 | Collaborer avec les provinces et les territoires en vue d’un meilleur cadre de référence unifié | Préparer le terrain pour que les agences géodésiques provinciales, territoriales et fédérales adoptent le NATRF2022, partout au Canada en même temps que les États-Unis et maintiennent un cadre de référence unifié par la suite. Le Canada sera ainsi prêt pour un positionnement GNSS omniprésent, instantané et subdécimétrique. Ce projet se poursuivra dans le cadre du nouveau PAI. 30 % terminé |
| 8 | Mettre à jour le Réseau de normalisation canadien de la gravimétrie en fonction du système international de référence gravimétrique | Intégrer le Réseau de normalisation canadien de la gravimétrie dans le nouveau système international de référence gravimétrique récemment adopté par l’Association internationale de géodésie. La nouvelle norme est fondée sur la gravimétrie absolue. Le réseau canadien a été ajusté pour la dernière fois à l’échelle nationale dans les années 1970 en fonction de la norme du Réseau international de normalisation gravimétrique de 1971 (IGSN71). Ce projet est reporté pour une durée indéterminée en raison d’un manque de ressources. Il redémarrera dans le cadre du nouveau PAI lorsque des ressources seront disponibles. 50 % terminé |
| 9 | Améliorer les services de positionnement précis GNSS en temps réel de géoscience pour la sécurité publique | Les géosciences pour la sécurité publique (p. ex., les systèmes d’alerte précoce aux tsunamis et aux tremblements de terre) dépendent de plus en plus du positionnement en temps réel de haute précision fondé sur le GNSS. Les produits actuels des LGC en temps réel sont uniquement des GPS. Une contribution solide à ces systèmes nécessite l’intégration d’autres constellations GNSS (GLONASS, Galileo) et de nouveaux produits système comme les flux de coordonnées combinés optimisés et les produits de données régionales sur l’ionosphère. Dans le nouveau PAI, le cadre de référence sera mis à jour pour refléter les besoins actuels. 25 % terminé |
| 10 | Répondre aux exigences de l’Organisation de l’aviation civile internationale (OACI) en matière de surveillance de la météorologie spatiale et de produits ionosphériques | Le Service canadien d’information sur les risques (SCIR) de RNCan fournit des services de météorologie spatiale à l’Organisation de l’aviation civile internationale (OACI). Les produits ionosphériques GNSS nécessaires au soutien de l’OACI et à la page Web de météorologie spatiale du SCIR sont fournis par les LGC. Ce projet vise à répondre aux exigences et à améliorer ces produits ionosphériques en établissant des mesures de soutien pour les constellations multi-GNSS. Il sera transféré et se poursuivra dans le cadre du nouveau PAI. 55 % terminé |
| 11 | Analyser les lacunes et déterminer les options de l’infrastructure d’observation géodésique du Canada | Élaborer des options pour les services et l’infrastructure de positionnement nationaux dans le cadre de l’infrastructure géodésique internationale pour les systèmes de référence et la mesure de notre Terre en évolution. Cela contribuerait à un effort de collaboration plus large dans le domaine du positionnement, de la navigation et de la synchronisation (PNS). TERMINÉ. Le financement a été versé pour le projet Observation de la Terre depuis l’espace. Ce projet a été terminé en décembre 2021. |
| 12 | Utiliser davantage les plans numériques dans le Nord | Le projet consiste à travailler avec le registre foncier territorial du Yukon pour permettre l’adoption de plans numériques. Le bureau du Yukon de la DAG prépare des lignes directrices sur les plans numériques à l’intention des arpenteurs, qui ont été élaborées en collaboration avec le Bureau des titres de biens-fonds du Yukon. Ce projet se poursuivra dans le cadre du nouveau plan d’activités intégré. 50 % terminé |
| 13 | Renforcer la capacité de connaissance des terres dans les zones des ententes sur les revendications territoriales globales (ERTG) | Collaborer avec les organisations bénéficiaires, les gouvernements territoriaux et d’autres ministères fédéraux afin d’établir un cadre pour améliorer la capacité locale à travailler avec l’information géospatiale sur les terres. Ce projet permettra de déterminer les intervenants, de catégoriser les objectifs communs et de faciliter l’élaboration d’un cadre pouvant être mis en œuvre. Ce projet se poursuivra dans le cadre du nouveau plan d’activités intégré. 30 % terminé |
| 14 | Soutenir la modernisation de la réglementation minière du Nunavut | Pour le Nunavut, ce projet est la continuation du projet de soutien à la modernisation des lois et règlements du secteur minier du Nunavut et des Territoires du Nord-Ouest figurant dans le précédent plan d’activités intégré. La DAG continuera à soutenir le Nunavut dans son processus de sélection de cartes pour sa réglementation minière. TERMINÉ. Les modifications au Règlement sur l’exploitation minière au Nunavut sont en place. Par conséquent, la DAG a revu et modifié sa publication Normes nationales pour l’arpentage des terres du Canada (addenda 1.9) afin de refléter les changements apportés à la réglementation minière. |
| 15 | Soutenir la modernisation et l’intégration des titres fonciers dans le Nord | Chaque territoire est à différents stades de la modernisation de ses systèmes de titres fonciers et de leur fonctionnement avec le SATC. Ce projet soutiendra la modernisation et à l’intégration de chaque système de titres fonciers territoriaux, y contribuera, et permettra la participation des intervenants. Ce projet se poursuivra dans le cadre du nouveau plan d’activités intégré. 50 % terminé |
| 16 | Élaborer un cadre de gouvernance du cadastre marin canadien afin d’assurer la communication et la collaboration entre les organismes fédéraux qui ont des responsabilités et des droits sur les zones extracôtières | L’objectif de ce projet est d’organiser un atelier avec différents partenaires ayant un intérêt pour l’espace marin afin d’élaborer un cadre de gouvernance et de stimuler le désir des partenaires de contribuer, au moyen de leurs données, à un cadastre marin. Les ateliers ont été menés à bien. Le projet, dans sa forme actuelle, peut être considéré comme terminé. Un nouveau projet doté d’un nouveau cadre de référence sera présenté et intégré dans le nouveau tableau de bord (PAI). TERMINÉ |
| 17 | Élaborer un plan d’action pour la migration d’ArcMap vers l’environnement ArcGIS Pro | L’objectif principal de ce projet est d’élaborer un plan d’action pour être prêt pour la migration du logiciel d’ArcMap vers ArcGIS Pro. Notre environnement SIG actuel utilise ArcMap et ArcObjects, mais ceux-ci ne sont plus améliorés par ESRI et ne sont maintenus que pour corriger les problèmes. Le plan d’action a été achevé et le nouveau projet sera inclus dans le nouveau PAI pour mettre en œuvre le plan d’action. Le nouveau projet s’étendra sur les trois prochaines années. TERMINÉ |
| 18 | Faciliter l’échange de connaissances au sein de la Commission de la frontière internationale (CFI) | Améliorer l’accès aux données de la CFI depuis notre portail (interne et externe), ainsi qu’aux méthodes utilisées pour la saisie des données sur le terrain et leur intégration dans les fichiers de la CFI. TERMINÉ |
| 19 | Questionnaire sur la satisfaction des clients | En collaboration avec le Secteur des communications et du portefeuille de RNCan, la DAG rétablira les enquêtes semestrielles sur la rétroaction des utilisateurs afin d’obtenir des commentaires sur l’efficacité de nos services et outils et sur les besoins non satisfaits des principaux intervenants et utilisateurs finaux, notamment les arpenteurs-géomètres, les autres ministères, les organisations autochtones, les utilisateurs finaux autochtones et les gouvernements territoriaux. TERMINÉ. Une réponse du conseil de gestion de la DAG à l’enquête a été effectuée et approuvée et fait l’objet d’un rapport sur le plan d’action de gestion. Ce projet a été terminé en juin 2022. |
| 20 | Établir une stratégie de communication avec les intervenants | La DAG élaborera et mettra en œuvre une stratégie de communication officielle pour répondre aux demandes d’un contact plus personnel exprimées par les intervenants. La DAG soutient et reconnaît les avantages des communications en personne. L’augmentation des contacts en personne avec les intervenants nécessitera des déplacements du personnel de la DAG. Ce facteur présente des défis qui seront surmontés par une planification stratégique de la mobilisation et de la participation à des événements ciblés. La DAG suivra également de manière formelle les efforts de communication en personne afin de mieux les documenter et de déceler les lacunes dans les régions ou au sein des groupes d’utilisateurs. TERMINÉ |
| 21 | Élaborer une évaluation de l’impact des tendances émergentes en matière de modernisation dans l’environnement du Système d’arpentage des terres du Canada | Ce projet permettra d’élaborer et de mettre en œuvre une stratégie globale visant à évaluer l’impact des diverses tendances de modernisation qui se dessinent dans l’environnement du SATC et à déterminer s’il est nécessaire de mettre à jour les principaux instruments législatifs. Ce projet sera réalisé en collaboration avec les territoires, les provinces et les communautés autochtones. TERMINÉ. Des groupes de travail se sont réunis pour discuter de quatre aspects : marin, technologique, nordique et autochtone. |
| 22 | Élaborer un plan pour migrer, gérer et préserver l’imagerie numérique de la DAG en utilisant le Système de gestion des données d’observation de la Terre (SGDOT) de RNCan | L’objectif de ce projet est de mettre à la disposition du public toutes les photographies aériennes numériques collectées par la DAG depuis 2007. Le Centre canadien de cartographie et d’observation de la Terre (CCCOT) a mis au point le Système de gestion des données d’observation de la Terre (SGDOT), qui permet de découvrir et de télécharger des images aériennes numériques, y compris des photographies aériennes numériques. En collaboration avec le CCCOT, la DAG organise, structure et télécharge ses photographies aériennes numériques dans ce système de gestion. TERMINÉ. Toutes les données ont été téléchargées dans la base de données du SGDOT, et une lettre a été préparée pour informer les Premières Nations du Québec et de la région de l’Atlantique de la publication de la photographie aérienne. Ce projet a été terminé en mai 2021. |
| 23 | Moderniser les applications du SATC et des LGC pour les aligner sur les initiatives de modernisation des applications du gouvernement du Canada et de l’informatique en nuage | Pour se conformer au projet de modernisation des applications et à la Stratégie d’adoption de l’informatique en nuage du gouvernement du Canada, les applications du secteur d’activité de la DAG doivent être migrées vers des environnements finaux approuvés appropriés, soit dans le nuage commercial géré par RNCan, soit dans les centres de données d’entreprise de Services partagés Canada (SPC). Ce projet consiste à évaluer l’adéquation technique, la sécurité et les coûts permanents de l’exploitation des applications dans les environnements finaux proposés. Le projet vise également à évaluer la transformation ou le remplacement des applications existantes et la migration des applications et des données vers les états finaux sélectionnés avec une interruption minimale des services. Ce projet se poursuivra dans le cadre du nouveau PAI. 18 % terminé |
| 24 | Mettre en place un dépôt numérique fiable | Le dépôt numérique fiable (DNF) est en cours de modification pour assurer le développement de composants de préservation numérique redondante afin de réduire le risque pour les documents numériques du Registre d’arpentage des terres du Canada (RATC). Une fois cette composante mise en place, les travaux se concentreront sur les solutions à plus long terme. Cet accent mis sur la préservation numérique redondante permettra d’éliminer la dépendance à l’égard des microfilms. À ce jour, la création d’un dépôt numérique fiable sur GCDocs n’a pas abouti malgré de nombreuses tentatives. Puisque l’environnement GCDocs fait actuellement l’objet d’une évaluation visant à déterminer s’il sera maintenu avec le passage de RNCan à Office365, le projet cessera ses efforts d’élaboration d’une solution sur ce logiciel et se concentrera sur d’autres options alimentées par le nuage. Ce projet se poursuivra dans le cadre du nouveau PAI. 45 % terminé |
| 25 | Établir une feuille de route et mettre en œuvre des stratégies informatiques du SATC | L’objectif de ce projet est de terminer la migration des applications du SATC vers la plateforme serveur Windows 2016 afin de se conformer au projet de mise hors service de Windows 2008. TERMINÉ. Le modèle Web standard de RNCan a été appliqué au navigateur de cartes Web et toutes les évaluations et autorisations de sécurité ont été actualisées pour toutes les applications de gestion cadastrale intégrée. Ce projet a été terminé en juillet 2021. |
| 26 | Établir un Programme de renforcement des capacités en matière d’arpentage | Le Programme de renforcement des capacités en matière d’arpentage (PRCA) contribuera à la planification de la relève et au recrutement au moyen de l’embauche et de la formation de nouveaux diplômés en arpentage. Ce programme vise également à aider les nouveaux employés à acquérir l’expérience de travail nécessaire pour obtenir leur brevet et leur permis d’exercer en tant qu’arpenteur des terres du Canada. TERMINÉ. Le programme est devenu opérationnel à la fin de l’année 2021; trois participants sont inscrits et ont des plans de formation. Ce projet a été terminé en décembre 2021. |
Annexe 4 – Résumé de la formation de renforcement des capacités en matière d’arpentage
Au cours de l’exercice 2022-2023, la DAG a organisé 18 séances virtuelles et 54 séances communautaires et a travaillé avec 15 communautés autochtones différentes. Voici quelques unes des activités qui ont eu lieu :
Saint Mary’s (Nouveau-Brunswick)
La communauté a sélectionné deux projets pour le programme, dont l’un consistait à examiner 15 km de frontières extérieures et à arpenter le terrain du centre communautaire. La communauté a terminé le programme en suivant une formation sur les drones.
Première Nation de Nipissing (Ontario)
La Première Nation de Nipissing a pu terminer le programme en mars 2023 et l’a accueilli pendant quelques jours afin de fixer des prix pour les communications à diffuser. Les projets de la communauté étaient l’ajout d’un cimetière et un lotissement commercial.
Première Nation de Shawanaga (Ontario)
La communauté est satisfaite des possibilités de formation et de la flexibilité du programme, qui a redémarré après une pause liée à la COVID-19 avec un redémarrage des premiers modules pour les nouveaux employés et les participants au programme.
Bande indienne de Lac La Ronge (Saskatchewan)
Le mentor a été associé à des activités communautaires pendant son séjour, comme la participation à une recherche par radar au sol. Parmi les autres projets, citons l’arpentage de nouveaux lots pour un ensemble résidentiel et la construction d’un camp culturel.
Première Nation de Muskoday (Saskatchewan)
La communauté a redémarré le programme après une pause liée à la COVID-19 et l’a terminé au cours de cet exercice. Le redémarrage du programme a permis de découvrir les coins de terrain et d’examiner certaines zones/levés relatifs aux baux existants au sein de la communauté.
Première Nation de Mistawasis (Saskatchewan)
La communauté a redémarré le programme après une pause liée à la COVID-19 et l’a terminé au cours de cet exercice. Certaines des nouvelles séances comprennent une vue d’ensemble des modules pour les nouveaux participants et des discussions historiques au sein de la communauté. La communauté a choisi d’examiner le bâtiment administratif et la station de traitement de l’eau en tant que bâtiments pour découvrir les aspects du programme.
Première Nation de Metlakatla (Colombie-Britannique)
La communauté a travaillé avec un terrain de sport en cours de construction et parcouru par des sangliers, et a trouvé d’anciennes bornes d’arpentage sur les limites les plus éloignées de la réserve. La communauté a pu compter sur la présence constante d’un groupe de participants tout au long du programme et s’est mise en relation avec le British Columbia Institute of Technology pour que d’éventuels futurs étudiants puissent participer à son programme.
Première Nation de Sumas (Colombie-Britannique)
Les participants ont apprécié les séances au sein de la communauté et sont intéressés par les thèmes du SATC et du Programme de renforcement des capacités en matière d’arpentage. L’un des participants a indiqué que la formation du Programme de renforcement des capacités en matière d’arpentage lui avait permis d’accéder à de nombreux outils utilisés régulièrement au travail.
Première Nation de Kitselas (Colombie-Britannique)
La communauté a redémarré le programme après une pause liée à la COVID-19 et l’a terminé au cours de cet exercice. Le redémarrage du programme était une situation unique où les mentors du Québec et de l’Alberta ont adapté un programme pour répondre aux besoins des deux participants. Le groupe a recherché deux bornes le long de la limite extérieure de la réserve, à côté d’un ancien poste de la Compagnie de la Baie d’Hudson. Bien que les poteaux standard aient été remplacés en 2004, une grande partie des éléments auxiliaires d’origine étaient encore visibles, notamment du verre brisé dans le trou, un monticule de pierres et plusieurs arbres porteurs.Annexe 5 – Publications
Alfonsi, L., N. Bergeot, P.J. Cilliers, G. De Franceschi, L. Baddeley, E. Correia, D. Di Mauro, C. Enell, M. Engebretson, R. Ghoddousi-Fard, I. Häggström et al. (2022). « Review of Environmental Monitoring by Means of Radio Waves in the Polar Regions: From Atmosphere to Geospace », Surveys in Geophysics. doi : 10.1007/s10712-022-09734-z [numéro de contribution RNCan : 20220270].
Bolanos, S., M. Craymer et B. Donahue (2022). « Canada’s GNSS network expansion », SIRGAS 2022 Symposium, Santiago, Chili, 7-9 novembre 2022.
Craymer, M. (2023). « Modernizing Vertical Datums: The New International Great Lakes Datum », Annual General Meeting of the Association of Ontario Land Surveyors, 1-3 mars 2023.
Craymer, M. (2022). « NAD83 (CSRS): From Static to Dynamic », Annual General Meeting of the Association of Ontario Land Surveyors, mars 2022.
Craymer, M., B. Amjadiparvar, E. Lapelle, M. Piraszewski et Y. Zhao (2022). « NAD83(CSRS) Version 8: A New Realization of NAD83 for Canada Based on ITRF2020 and IGS Repro3 Products », REFAG 2022, Thessaloniki, Grèce, 17-20 octobre 2022.
Craymer, M., et T. Herron (2022). « The Use of GNSS at Water Level and Tide Gauge Stations in Canada », Conférence hydrographique du Canada, Gatineau, Québec, 6-8 juin 2022.
Craymer, M., et L. Hothem (2022). « The ISO Geodetic Register », SIRGAS 2022 Symposium, Santiago, Chili, 7-9 novembre 2022.
Craymer, M., et D. Martin (2022). « Determining Heights in the New IGLD (2020) », Conférence hydrographique du Canada, Gatineau, Québec, 6-8 juin 2022.
Craymer, M., D. Roman et P. McFarland (2022). « Modernizing Regional Reference Frames in North America: Current and Future Activities of IAG Regional Sub-Commission SC1.3c », REFAG 2022, Thessaloniki, Grèce, 17-20 octobre 2022.
Ghoddousi-Fard, R. (2023). « GNSS carrier phase irregularities during 2022 over Canadian high latitudes », DASP 2023, Agence spatiale canadienne, Saint-Hubert, Québec, 20-24 février 2023.
Ghoddousi-Fard, R., E. Hassen et M. Walker (2022). « Ionospheric Constraint Precise Point Positioning with Ambiguity Resolution during Geomagnetic Storm », Beacon Satellite Symposium 2022, Boston, États-Unis, 1er-5 août 2022.
Herron, T., et M. Craymer (2022). « Defining a New International Great Lakes Datum », Conférence hydrographique du Canada, Gatineau, Québec, 6-8 juin 2022.
Huang, J., et B. D’Aoust (2022). La modernisation du système de référence altimétrique au Canada et de l’Amérique du Nord (anglais-français), [En ligne], Association des arpenteurs des terres du Canada, 8 juin 2022.
Klatt, C. (2022). « Geodesy in support of the UN Sustainable Development Goals », Canadian Geophysical Union Annual Meeting, Saskatoon, Saskatchewan, 6-8 juin 2022.
Klatt, C. (2022). « Quantum sensors in Geoscience », Canadian Geophysical Union Annual Meeting, Saskatoon, Saskatchewan, 6-8 juin 2022.
Nikitina, L., R.A.D. Fiori, R. Ghoddousi-Fard et G.H. Waddington (2022). « Statistical analysis of large and extreme global ionospheric total electron content », Journal of Atmospheric and Solar-Terrestrial Physics, vol. 229, article 105841. doi : 10.1016/j.jastp.2022.105841 [numéro de contribution RNCan : 20210275].
Nikolaidou, T., M.A. Goudarzi, B. Donahue, E. Maia, R. Ghoddousi-Fard, O. Kamali et Y. Mireault (2022). « New generation of NRCan’s Final GNSS orbit and clock products: overview and validation », Reference Frames for Applications in Geosciences (REFAG 2022), Thessaloniki, Grèce, 17-20 octobre 2022.
Robin, C., G. Banham, R. Berg, M. Craymer, G. Cross, B. Donahue, J. Harrietha, J. Huang, R. Messier-Paquin, R. Tardiff et Y. Thériault (2022). « Reference Frame Modernization in Canada », REFAG 2022, Thessaloniki, Grèce, 17-20 octobre 2022.Annexe 6 – Ateliers sur la gouvernance de l’espace marin au Canada
La collaboration communautaire a donné lieu à 13 séances d’ateliers sur une période de 7 mois, dans le but de mieux comprendre les rôles et les défis de chacun.
L’objectif général était de parvenir à un consensus sur la manière d’élaborer efficacement des informations spatiales fondamentales sur les espaces marins du Canada – où les compétences commencent et se terminent, où les droits légaux existent, où il y a des restrictions législatives, et où les responsabilités réglementaires s’appliquent.
Au fur et à mesure de l’avancement de la série d’ateliers, le nombre de ministères et d’organismes fédéraux participants est passé à dix-huit (18), avec quelque deux cents (200) participants :
- Relations Couronne-Autochtones et Affaires du Nord Canada
- Régie de l’énergie du Canada
- Agence canadienne d'inspection des aliments
- Office Canada-Terre-Neuve-et-Labrador des hydrocarbures extracôtiers
- Office Canada-Nouvelle-Écosse des hydrocarbures extracôtiers
- Pêches et Océans Canada
- Ministère de la Défense nationale
- Environnement et Changement climatique Canada
- Affaires mondiales Canada
- Agence d'évaluation d'impact du Canada
- Innovation, Sciences et Développement économique Canada
- Justice Canada
- Ministère de la Justice Canada
- Ressources naturelles Canada
- Conseil privé
- Services publics et Approvisionnement Canada
- Statistique Canada
- Secrétariat du Conseil du Trésor
- Transports Canada

Une série de messages clés issus de chaque séance a permis de renforcer la communication au sein de la famille fédérale et de parvenir à un consensus sur les questions à traiter pour que le Canada puisse mettre en place un régime de gouvernance de l’espace marin plus solide. Ces messages clés ont été rassemblés dans des « scénarimages » illustratifs, qui donnent une vue d’ensemble de l’état de l’administration maritime au Canada.
Exemple de scénarimages
À la fin de la série d’ateliers, plusieurs défis ont été indiqués par les participants et devront être pris en compte à l’avenir. Quatre d’entre eux ont été considérés comme les plus importants à traiter :
Défis
- Le département travaille souvent en silos
- Les données sur les limites sont souvent incomplètes et parfois inexistantes
- L'incertitude des limites a un impact négatif sur le développement économique ainsi que sur l'administration et la réglementation maritimes
- Cadres législatifs et réglementaires fragmentés
- Obtenir une vue complète et intégrée de la représentation des droits est difficile et prend du temps
- Savoir qui contacter peut améliorer les processus de gouvernance
- Les systèmes d'information et les données sont incomplets et non intégrés

Prochaines étapes
Les prochaines étapes comprendront l’élaboration d’un service de délimitation des frontières marines pour soutenir les nouveaux régimes fonciers et de planification spatiale dans les espaces océaniques du Canada.
Annexe 7 – Données sur les ressources humaines
Le tableau suivant présente une ventilation de tous les groupes professionnels des employés de la DAG en 2022-2023. Les deux figures offrent une analyse plus approfondie des groupes professionnels pendant la même période.
Groupes professionnels
Version textuelle
| Groupe | Nombre |
|---|---|
| AS | 7 |
| CR | 2 |
| EC | 2 |
| EG | 26 |
| EL | 1 |
| ENSUR | 98 |
| EX | 4 |
| GLMAN | 5 |
| IT | 9 |
| SERES | 2 |
| Étudiant | 4 |